About Paintball Way Road
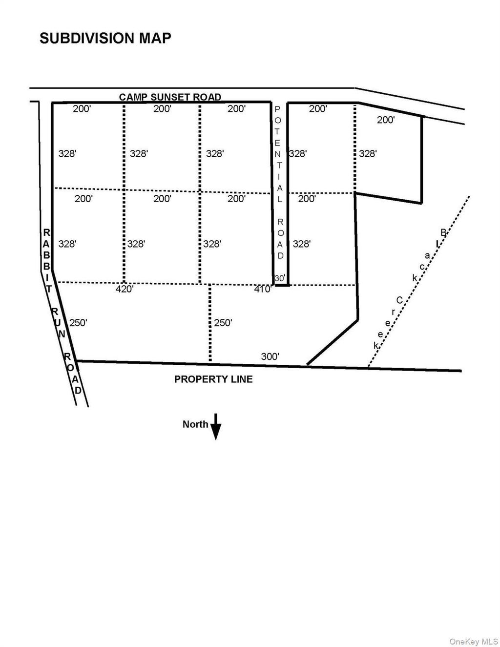
This 21.5 acre parcel is awaiting final subdivision approval within weeks. This wooded lot runs along Rabbit Run and camp Sunset, and lends itself to multiple subdivided lots or build your dream home! The area is quite and located within walking distance to a beautiful lake view and relaxing evening strolls.
Features of Paintball Way Road
| MLS® # | 931552 |
|---|---|
| Price | $290,000 |
| Bathrooms | 0.00 |
| Acres | 129.30 |
| Type | Land |
| Status | Active |
Community Information
| Address | Paintball Way Road |
|---|---|
| City | Plattekill |
| County | Ulster County |
| State | NY |
| Zip Code | 12568 |
Additional Information
Listing Details
| Office | KW MidHudson |
|---|
