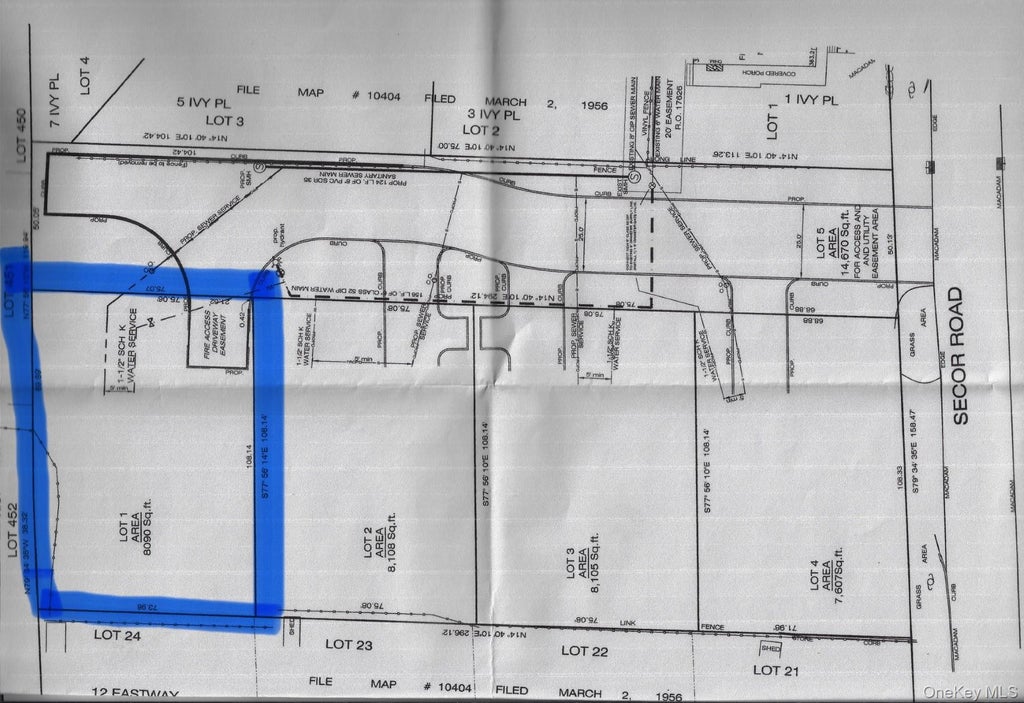
About 245 Lot 1 Secor Road
Are you frustrated with bidding wars or touring homes that need major renovations? Here’s your opportunity to buy property build a brand-new home in a highly desirable school district—with exclusive Hartsdale Station parking privileges! Purchase the land and create the home of your dreams. Choose your own builder or work with us to bring your vision to life. Potential to build up to a 2,650-square-foot home, plus additional finished space in the basement. Don’t miss this rare chance to buy land customize your perfect home!
Features of 245 Lot 1 Secor Road
| MLS® # | 842952 |
|---|---|
| Price | $450,000 |
| Bathrooms | 0.00 |
| Acres | 0.19 |
| Type | Land |
| Status | Pending |
Community Information
| Address | 245 Lot 1 Secor Road |
|---|---|
| City | Hartsdale |
| County | Westchester County |
| State | NY |
| Zip Code | 10530 |
Additional Information
Listing Details
| Office | Corcoran Legends Realty |
|---|---|
| Office Contact | 914-591-5600 |
