About Route 9h/oldpost Road
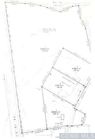
Great 13 parcel for mixed commercial, agricultural and residential uses. Long Frontage on 9H (main road) and shorter frontage on Old Post Road ( Quiet side Road.) Ideal for subdivision. Property could be subdivided for residential lot on back road. Pond on property. Broker owned
Features of Route 9h/oldpost Road
| MLS® # | 156889 |
|---|---|
| Price | $139,000 |
| Bathrooms | 0.00 |
| Acres | 13.42 |
| Type | Land |
| Sub-Type | Unimproved Land |
| Status | Active |
Community Information
| Address | Route 9h/oldpost Road |
|---|---|
| City | Ghent |
| County | Columbia |
| State | NY |
| Zip Code | 12075 |
Additional Information
Listing Details
| Agent | David Birch |
|---|---|
| Office | Barns & Farms Realty, LLC |
